Tbd Mount Olive Church Rd. | Green Sea | $149,900
Tbd Mount Olive Church Rd. Photo 1
Tbd Mount Olive Church Rd. Photo 2
Tbd Mount Olive Church Rd. Photo 3
Tbd Mount Olive Church Rd. Photo 4
SHOW DETAILS
Tbd Mount Olive Church Rd. Green Sea, SC 29545 $149,900
SQ. FT.

Tbd Mount Olive Church Rd.Green Sea, SC 29545

For SALE Farm ACTIVE
$149,900
EST. 377.33/MO CALCULATE
SQ. FT.

Property Description

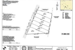
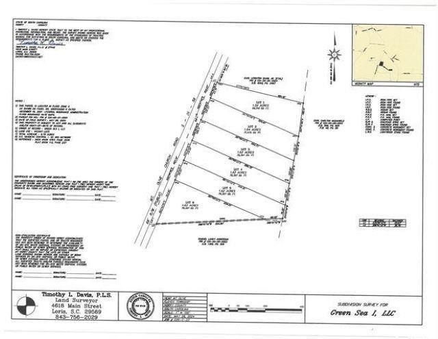
This fantastic tract of cleared land offers exceptional soil and endless possibilities. In the pictures, the second image showcases a plat of the proposed subdivision, including Lot 4, though the land has not yet been officially subdivided. The subdivision layout can be customized to meet the buyers needs, providing flexibility and room for your vision. The owner is open to selling the entire tract or select lots, with the condition that lots be purchased sequentially, either from left to right or right to leftno random selections are permitted. The property will require a well and septic system, making it ideal for those looking to create a home tailored to their preferences. Located less than an hour from Myrtle Beach, this property offers convenient access to world-class dining, shopping, and golf. Whether youre envisioning a mobile home or a stick-built home, this is the perfect opportunity to create your dream residence in a highly desirable location.

Property Details

  • MLS ID2500389
  • Property TypeLand - Farm
  • Days on Site471
  • HOA Fee0/ Monthly
  • Lot DescriptionOutside City Limits, Rectangular, Rectangular Lot, Acreage
  • Lot Size8.08 Acres
  • Parcel#12405010001
  • SewerSeptic Tank
  • UtilitiesElectricity Available, Septic Available
  • WaterWell
  • acres8.08

Listed By / Shown By

Listed By

Agency Name: NextHome The Agency Group MB
Agency Phone: 854-444-3232

CCAR MLS

Shown By

Agency Title: Carolina One Real Estate
Agency Phone: (843) 203-5016

CCAR MLS

IDX logo

Tbd Mount Olive Church Rd. photo 4
Tbd Mount Olive Church Rd. photo 4
Tbd Mount Olive Church Rd. photo 4

Web address QR Codes

Tbd Mount Olive Church Rd.

©OneHomeValue

Location Tbd Mount Olive Church Rd.

Neighborhood Map

Local Content

Neighborhood Hero

Ask A Question Tbd Mount Olive Church Rd., Green Sea, SC 29545

IDX logo

Disclaimer: All information deemed reliable but not guaranteed. All properties are subject to prior sale, change or withdrawal. Neither listing broker(s) or information provider(s) shall be responsible for any typographical errors, misinformation, misprints and shall be held totally harmless. Listing(s) information is provided for consumers personal, non-commercial use and may not be used for any purpose other than to identify prospective properties consumers may be interested in purchasing. Information on this site was last updated 04/22/2026. The listing information on this page last changed on 04/22/2026. The data relating to real estate for sale on this website comes in part from the Internet Data Exchange program of Delta Media Group MLS (last updated Wed 04/22/2026 12:00:15 AM EST) or Pee Dee MLS (last updated Tue 04/21/2026 10:44:31 PM EST) or CCAR MLS (last updated Tue 04/21/2026 11:26:49 PM EST) or Columbia SC MLS (last updated Tue 04/21/2026 11:57:43 PM EST) or Charleston Trident MLS (last updated Tue 04/21/2026 11:32:17 PM EST) or SCCMLS (last updated Tue 04/21/2026 11:16:44 PM EST). Real estate listings held by brokerage firms other than Carolina One Real Estate may be marked with the Internet Data Exchange logo and detailed information about those properties will include the name of the listing broker(s) when required by the MLS. All rights reserved.
Privacy Policy / DMCA Notice / ADA Accessibility

Login to Personal Shopper

Pixel