0 Skyland Farm Rd. & Veterans Rd. (r&r Far | Williston | $90,000
0 Skyland Farm Rd. & Veterans Rd. (r&r Far Photo 1
SHOW DETAILS
0 Skyland Farm Rd. & Veterans Rd. (r&r Far Williston, SC 29853 $90,000
SQ. FT.

0 Skyland Farm Rd. & Veterans Rd. (r&r FarWilliston, SC 29853

For SALE Farm ACTIVE
$90,000
EST. 226.55/MO CALCULATE
SQ. FT.

Property Description

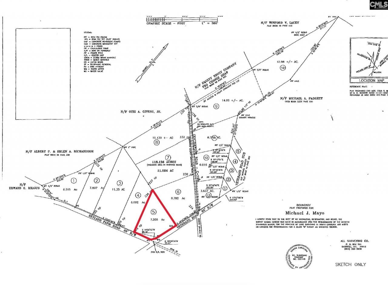
+/- 7.208 acre lot on the corner of Skyland farm Road and Veterans Road in the R&R Farms Development in prime horse country in Aiken County. One of 13 available parcels. Located just 25 minutes outside of downtown Aiken, this property offers ample opportunity to build your own home, small farm or recreational equestrian facility. Close proximity to Aiken's abundant equestrian facilities including Hitchcock Woods, The Vista Schooling and Event Center, Aiken Horse Park/Bruce's Field, Highfields Event Center, New Bridge Polo & Country Club, Aiken Training Track, etc. Approximately 45 minutes from Augusta and one hour from Columbia. Farm animals ok. Owner financing available. Minimal restrictions including no single-wide mobile homes. Lot lines proposed are tentative, more property can be purchased if desired. Disclaimer: CMLS has not reviewed and, therefore, does not endorse vendors who may appear in listings.

Property Details

  • MLS ID594828
  • Property TypeLand - Farm
  • Days on Site556
  • Lot Dimensions7.208 Acre(s)
  • Lot Size7.21 Acres
  • Road SurfacePaved
  • Road TypeCounty
  • SewerSeptic
  • TopographyLevel
  • WaterWell
  • acres7.21

Listed By / Shown By

Listed By

Agency Name: Southern Visions Realty I LLC

Columbia SC MLS

Shown By

Agency Title: Carolina One Real Estate
Agency Phone: (843) 203-5016

Columbia SC MLS

IDX logo

Web address QR Codes

0 Skyland Farm Rd. & Veterans Rd. (r&r Far

©OneHomeValue

Location 0 Skyland Farm Rd. & Veterans Rd. (r&r Far

Neighborhood Map

Local Content

Neighborhood Hero

Ask A Question 0 Skyland Farm Rd. & Veterans Rd. (r&r Far, Williston, SC 29853

IDX logo

Disclaimer: All information deemed reliable but not guaranteed. All properties are subject to prior sale, change or withdrawal. Neither listing broker(s) or information provider(s) shall be responsible for any typographical errors, misinformation, misprints and shall be held totally harmless. Listing(s) information is provided for consumers personal, non-commercial use and may not be used for any purpose other than to identify prospective properties consumers may be interested in purchasing. Information on this site was last updated 04/19/2026. The listing information on this page last changed on 04/19/2026. The data relating to real estate for sale on this website comes in part from the Internet Data Exchange program of Delta Media Group MLS (last updated Sun 04/19/2026 12:06:21 AM EST) or Pee Dee MLS (last updated Sat 04/18/2026 10:44:36 PM EST) or CCAR MLS (last updated Sat 04/18/2026 11:26:51 PM EST) or Columbia SC MLS (last updated Sat 04/18/2026 11:57:46 PM EST) or Charleston Trident MLS (last updated Sat 04/18/2026 11:32:19 PM EST) or SCCMLS (last updated Sat 04/18/2026 11:16:16 PM EST). Real estate listings held by brokerage firms other than Carolina One Real Estate may be marked with the Internet Data Exchange logo and detailed information about those properties will include the name of the listing broker(s) when required by the MLS. All rights reserved.
Privacy Policy / DMCA Notice / ADA Accessibility

Login to Personal Shopper

Pixel